Bouwgrond met bouwverplichting te Zoersel
Twee bouwgronden met bouwverplichting Zoersel (Bremlaan 37-43)
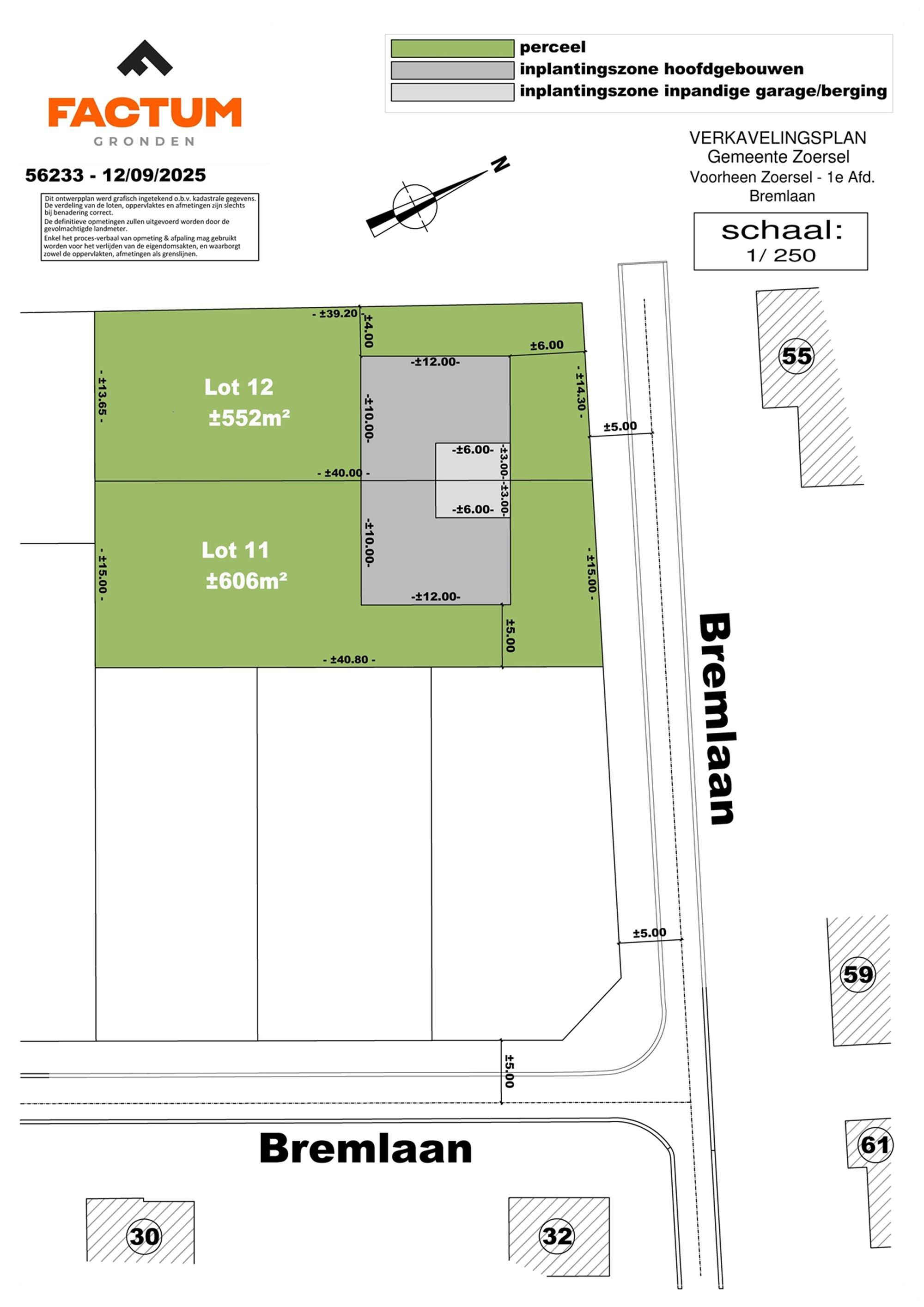
Deze twee bouwgronden voor halfopen bebouwing liggen in een nieuwe, doodlopende straat (zone 30) in een groene en residentiƫle wijk van Zoersel. De ligging is rustig en omgeven door natuur, maar toch vlak bij het centrum.
Op slechts 1 km vind je het dorpscentrum met winkels, school en kinderopvang. De bushalte ligt op 500 m, en een Carrefour op 800 m. De verbindingen zijn ideaal: de oprit E34 bevindt zich op 5 km, en Oostmalle en Sint-Antonius-Zoersel liggen vlakbij.
Met de bouwverplichting geniet je van een zorgeloze realisatie van je woning. Jij bepaalt de stijl, indeling en materialen, wij zorgen voor een duurzame en energiezuinige thuis.
Meer info via info@factumvastgoed.be.
Financieel en beschikbaarheid
- Nettoprijs
- € 239.000,00
Gebouw
- Constructie
- Halfopen
- Staat
- Te bouwen
Terrein
- Perceel opp.
- 552 m²
- Oriëntatie tuin
- Zuid
- Oriëntatie terras
- Zuid
Stedenbouwkundige informatie
- Bestemming
- Woonuitbreidingsgebied
- Bouwvergunning
- Nog niet aangevraagd
- Verkavelingsvergunning
- Ja
- Voorkooprecht
- Nee
- Dagvaarding
- Geen rechterlijke herstelmaatregel of bestuurlijke maatregel opgelegd
- P-score
- A
- Kadaster sectie
- A
- Kadaster nummer
- 0587/00V000
Interesse?
Contacteer Marine
Stuur ons een mailtje of bel 0472 99 90 01
Neem contact op plan uw bezoek
Interesse?
Contacteer ons voor een plaatsbezoek
Marine Van Herreweghe
0472 99 90 01
marine@factumvastgoed.be

2980 Zoersel
Bouwgrond met bouwverplichting te Zoersel
Op zoek naar iets nieuws maar…