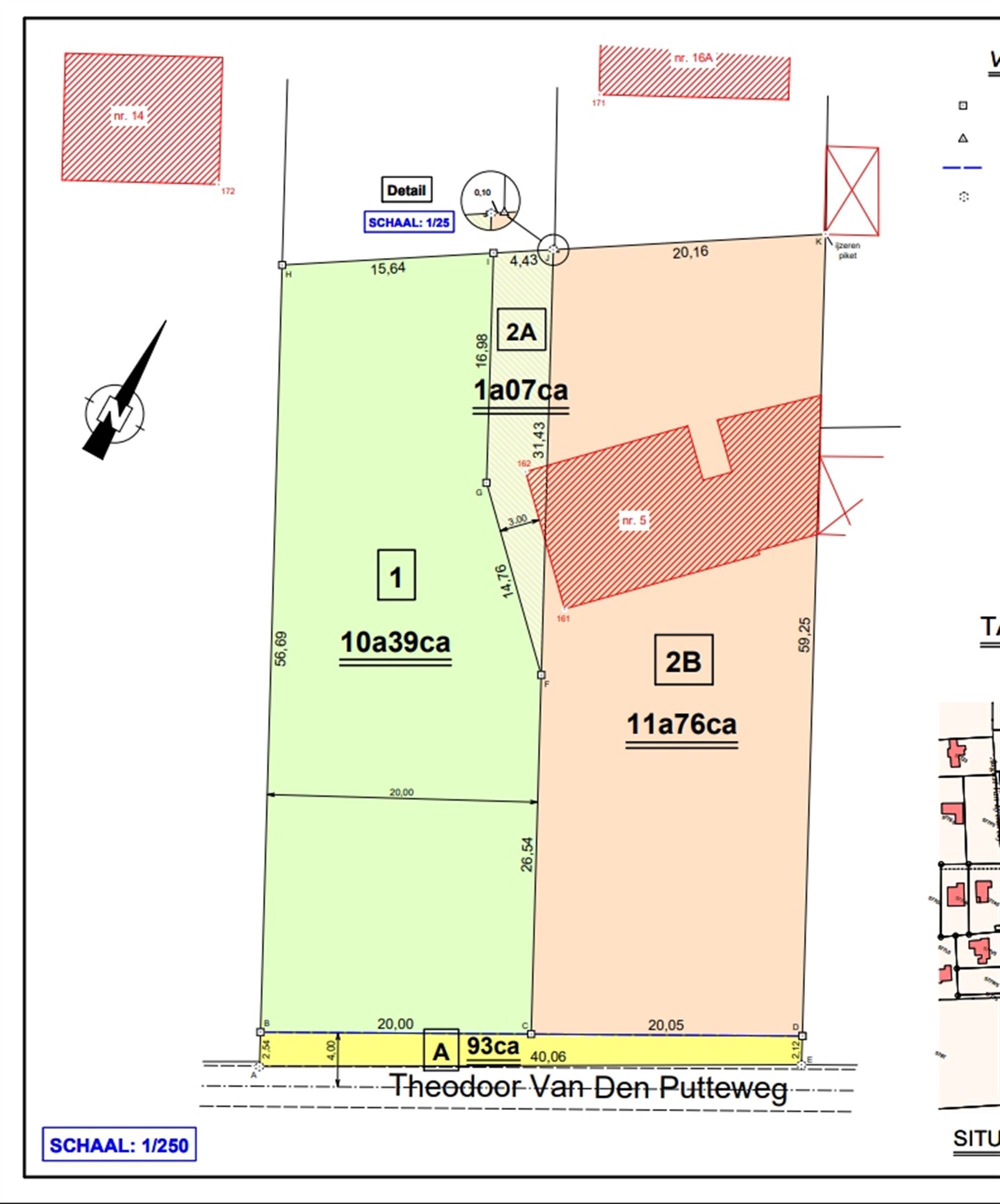
Rustig gelegen bouwgrond van 11are 72ca (lot2)

Theodoor Van den Putteweg 5, 2580 PUTTE

  • 1
  • 1.176 m²

In optie

Contacteer ons

Rustig gelegen bouwgrond van 11are 72ca (lot2)

Voor meer inlichtingen of een bezoek kan u terecht via tristan@factumvastgoed.be of op het nummer 0472/99.99.00

Rustig gelegen bouwgrond voor een open bebouwing op een aangenaam perceel van 11are 76ca.
Mooi perceel bouwgrond met de mogelijkheid om te verblijven in de bestaande woning tijdens de nieuwbouwwerken.

Opgelet, deze woning is niet vergund, en dateert van voor het vergunningstelsel met een vermoeden van vergunning.
Achteraf is de woning zonder vergunning verder uitgebreid. 
De woning kan/mag blijven staan, maar er mogen geen vergunning plichtige werken aan gebeuren.
De woning kan ook niet geregulariseerd worden.
Ideaal als tijdelijke woning in afwachting van een nieuwbouwproject op het perceel.
Bij nieuwbouw dient de woning achteraf afgebroken te worden.
 

In optie

Financieel en beschikbaarheid

Nettoprijs
€ 318.000,00
Beschikbaarheid
Vanaf akte
Geïndexeerd kadastraal inkomen
€ 924,00

Gebouw

Constructie
Open

Terrein

Perceel opp.
1.176 m²

Indeling

Badkamers
1
Toiletten
1

Technieken

Elektriciteit
Ja

Comfort

Aansluiting water
Ja
Kabeltelevisie
Ja

Stedenbouwkundige informatie

Bestemming
Woonuitbreidingsgebied
Verkavelingsvergunning
Ja
Voorkooprecht
Nee
As-builtattest
In aanvraag
G-score
A
P-score
A
Kadaster sectie
C
Kadaster nummer
0577/00M006
Bodemattest
Aanwezig
Asbestinventarisattest
03 oktober 2025, asbest gevonden, verwijdering verplicht

Documenten

GEOMETERMAP_10717313.PDF
download PDF
124304_15546_485909_Certificaat-20250930-0003698117-RES-1.pdf
download PDF
124304_29075_486268_Theodoor Van den Putteweg 5, 2580 Putte.pdf
download PDF

Interesse?
Contacteer Tristan

Stuur ons een mailtje of bel 0472 99 99 00

Neem contact op plan uw bezoek
Tristan

Interesse?
Contacteer ons voor een plaatsbezoek

Tristan Aerbeydt

0472 99 99 00

tristan@factumvastgoed.be

Bouwgrond te koop in PUTTE

2580 Putte

Rustig gelegen bouwgrond van 11are 72ca (lot2)

Gelieve uw voornaam in te vullen
Gelieve uw naam in te vullen
Gelieve uw e-mail in te vullen
Gelieve uw telefoon in te vullen

Gelieve uw uw bericht in te vullen

Gelieve akkoord te gaan met onze algemene voorwaarden

Op zoek naar iets nieuws maar…

je woning moet eerst nog verkocht worden?

Vraag een gratis schatting

Gratis schatting

je ideale woning stond niet in dit lijstje?

Laat ons weten wat je zoekt

Ik ben op zoek naar…
Gratis schatting